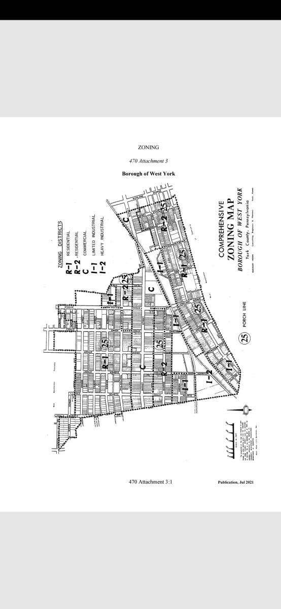
Borough Map

From
West York

West York Logo

Sent
Tue, Dec 17 @ 8:09am

Description
You can use this map to look at street and alley names to better understand republicservices.com map sent to you.

Attachments

This notification was posted by West York. West York is solely responsible for this notification and unless specifically indicated, no other community or individual utilizing Savvy Citizen is sponsoring, responsible for, or endorsing this notification.

Back to West York's Calendar